Anwar Muhammad Foundation – Indonesia menghadapi potensi cuaca ekstrem seiring kemunculan dan aktivitas beberapa sistem siklon tropis di sekitar wilayah perairan selatan. Badan Meteorologi, Klimatologi, dan Geofisika (BMKG) mengeluarkan peringatan gelombang tinggi hingga 6 meter di sejumlah perairan, yang berpotensi mengganggu pelayaran, aktivitas nelayan, serta memicu banjir rob di wilayah pesisir. Peringatan ini berlaku hingga 18 Desember 2025 dan mencakup sedikitnya 10 provinsi.
Kondisi Sistem Siklon Terkini

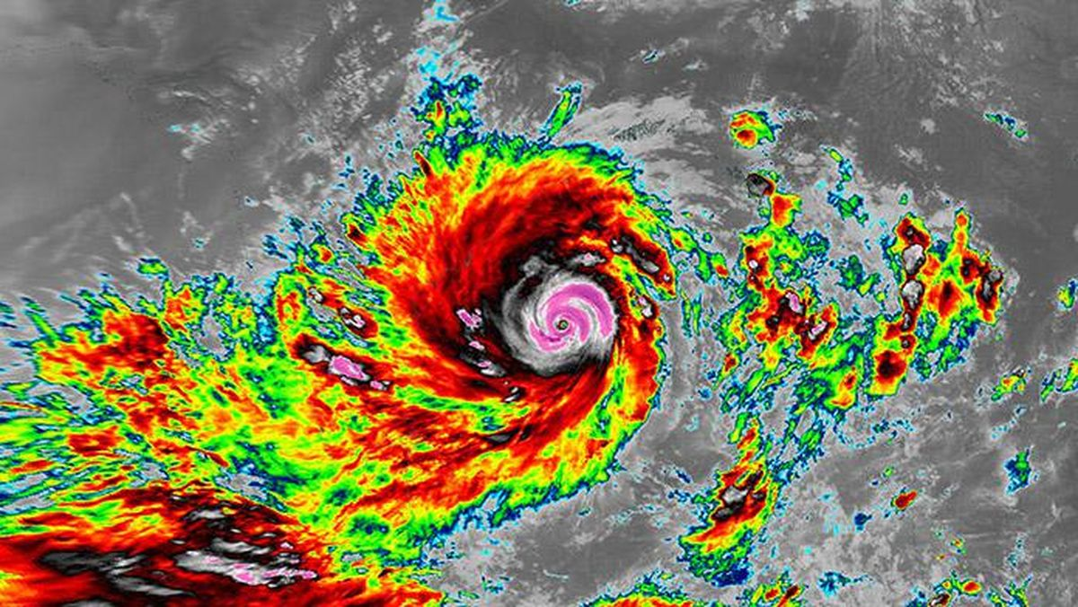
Sumber: CNN Indonesia
BMKG mencatat Siklon Tropis Bakung terbentuk dari bibit siklon 91S pada 12 Desember 2025 di Samudra Hindia barat daya Lampung. Sistem ini memiliki kecepatan angin maksimum sekitar 55 knot (±102 km/jam) dengan tekanan minimum 988 hPa. Meski bergerak ke arah barat daya menjauhi wilayah Indonesia, dampak tidak langsungnya masih berpotensi memicu hujan dengan intensitas sedang hingga lebat di sejumlah wilayah hingga pertengahan Desember.
Selain itu, terdapat Bibit Siklon Tropis 93S di selatan Nusa Tenggara Barat (NTB) dengan kecepatan angin sekitar 15 knot dan tekanan 1009 hPa, serta Bibit Siklon 95S yang masih dalam pemantauan. Menurut BMKG, keberadaan bibit-bibit siklon tersebut dapat membentuk daerah konvergensi dan belokan angin, yang berkontribusi pada peningkatan curah hujan di wilayah Indonesia bagian selatan.
BMKG juga menjelaskan bahwa aktivitas Gelombang Rossby Ekuator dan Gelombang Kelvin turut memengaruhi dinamika atmosfer. Kombinasi fenomena ini dapat menyebabkan pembentukan awan hujan yang lebih intens dan bertahan lebih lama. Nilai Dipole Mode Index (DMI) yang berada pada fase negatif turut mendukung peningkatan pertumbuhan awan hujan, khususnya di wilayah Indonesia bagian barat.
Sepuluh Provinsi Berstatus Siaga

Sumber: heybali
Berdasarkan analisis BMKG, wilayah yang perlu meningkatkan kewaspadaan meliputi Banten, Jawa Barat, Jawa Tengah, DI Yogyakarta, Jawa Timur, Bali, Nusa Tenggara Barat, Nusa Tenggara Timur, Sulawesi Selatan, dan Maluku. Potensi gelombang tinggi berkisar antara 2,5 hingga 6 meter diprakirakan terjadi di Selat Sunda, Selat Bali, Samudra Hindia selatan Jawa hingga NTT, serta Laut Flores.
Selain gelombang tinggi, BMKG juga mengeluarkan peringatan hujan lebat hingga sangat lebat di sejumlah wilayah, khususnya di Jawa Timur, NTB, serta sebagian wilayah Papua. Angin kencang dengan kecepatan puluhan kilometer per jam juga berpotensi terjadi di wilayah pesisir dan perairan terbuka.
Dampak Potensial yang Perlu Diantisipasi

Sumber: Tempo co
BMKG menekankan bahwa gelombang tinggi berisiko mengganggu aktivitas pelayaran, perikanan, dan pariwisata bahari. Infrastruktur pesisir, seperti pelabuhan dan tambatan perahu nelayan, juga berpotensi terdampak apabila gelombang tinggi disertai angin kencang.
Sementara itu, hujan dengan intensitas tinggi berpotensi meningkatkan risiko banjir dan tanah longsor, terutama di wilayah dengan topografi curam dan daerah aliran sungai yang padat penduduk. BMKG mengimbau pemerintah daerah dan masyarakat untuk meningkatkan kewaspadaan terhadap potensi bencana hidrometeorologi, seperti banjir, longsor, dan angin kencang.
Langkah Mitigasi dan Imbauan BMKG

Sumber: detikcom
Deputi Bidang Meteorologi BMKG, Guswanto, mengimbau masyarakat untuk selalu memantau informasi cuaca resmi melalui kanal BMKG, baik situs web maupun aplikasi Info BMKG. Nelayan dan operator pelayaran diminta menyesuaikan aktivitas dengan prakiraan cuaca dan gelombang, serta menghindari wilayah perairan yang masuk kategori berisiko tinggi.
Pemerintah daerah juga diharapkan mengaktifkan langkah kesiapsiagaan, termasuk koordinasi dengan Badan Nasional Penanggulangan Bencana (BNPB) dan instansi terkait, guna mengantisipasi dampak cuaca ekstrem.
Proyeksi Cuaca Jangka Pendek

Sumber: universitas airlangga
Hingga akhir pekan, BMKG memprakirakan hujan dengan intensitas sedang hingga lebat masih berpotensi terjadi di wilayah Jawa, Bali, dan Nusa Tenggara. Tinggi gelombang diperkirakan mulai menurun secara bertahap apabila sistem siklon menjauh dan melemah, namun masyarakat tetap diimbau waspada terhadap perubahan cuaca yang dapat terjadi secara cepat.
Baca juga: Jerhemy Owen dan Aksi Penanaman Hijau Kembali di Indonesia
BMKG menegaskan bahwa posisi geografis Indonesia yang dikelilingi perairan tropis membuat wilayah ini rentan terhadap pengaruh sistem cuaca ekstrem, terutama pada periode aktif siklon di belahan selatan. Edukasi publik dan kesiapsiagaan menjadi kunci untuk meminimalkan risiko dan dampak yang ditimbulkan.
Referensi
Jurnal Lugas. (2025, 16 Desember). Tiga siklon kepung Indonesia, BMKG: Daerah ini tingkatkan kewaspadaan.
Kompas TV. (2025, 16 Desember). BMKG: Siklon tropis Bakung dan bibit 93S kepung Indonesia, 10 provinsi siaga hujan lebat.
Kompas TV. (2025, 15 Desember). Daftar wilayah terdampak siklon tropis Bakung dan bibit siklon tropis 93S.
CNBC Indonesia. (2025, 15 Desember). RI dikepung 3 siklon, kepala BMKG beri warning.
Badan Meteorologi, Klimatologi, dan Geofisika. (2025, 11 Desember). Antisipasi cuaca ekstrem: BMKG waspada siklon tropis Bakung dan bibit siklon 93S di wilayah Indonesia.
Badan Meteorologi, Klimatologi, dan Geofisika. (2025, 11 Desember). Perkembangan bibit siklon tropis 91S di wilayah Indonesia: BMKG imbau masyarakat tenang dan waspada.
Badan Meteorologi, Klimatologi, dan Geofisika. (2025, 11 Desember). BMKG: Bibit siklon 93S menjauh, waspada hujan dan gelombang tinggi di Bali-NTB-NTT.
Badan Meteorologi, Klimatologi, dan Geofisika. (2025, 10 Desember). Prospek cuaca mingguan periode 12–18 Desember 2025: Bibit siklon tropis pengaruh cuaca ekstrem.


